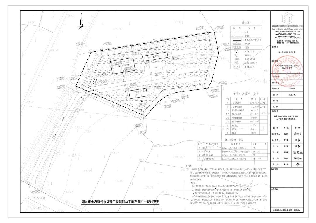
“湘乡市金石镇污水处理工程项目总平面布置图-规划变更”公示公告
2022-08-01 17:46:20
来源:湘乡市融媒体中心 | 编辑:谭力彰 |
湘乡网特别推荐
时政要闻
-
!/ignore-error/1&pid=54994440 )
赵新文调研城乡居民医保参保缴费工作:提高站位 明确目标 全力守护群众健康福祉
-
!/ignore-error/1&pid=54996880 )
赵新文带队赴省商务厅对接工作
-
!/ignore-error/1&pid=54971355 )
唐宁主持召开市政府党组理论学习中心组集体学习暨民主生活会专题学习研讨
-
!/ignore-error/1&pid=54996060 )
【我爱湘乡我的家】湘乡新媒体人齐聚年会 共绘家乡传播新蓝图
-
!/ignore-error/1&pid=54985285 )
湘乡队四球完胜韶山队 强势晋级“贺岁杯”四强
-
!/ignore-error/1 )
【服务企业年 全力拼经济】湘乡市召开统一战线“新春惠企”座谈会:政银企联动 赋能非公经济
-
!/ignore-error/1 )
【我爱湘乡我的家】人大风采“好戏”连台 履职故事真情演绎
-
!/ignore-error/1 )
赵新文以“四不两直”方式暗访乡镇派出所:从严从实推进作风建设走深走实
推荐










